“Fracking” and Wildlife: Suds & Science on January 12

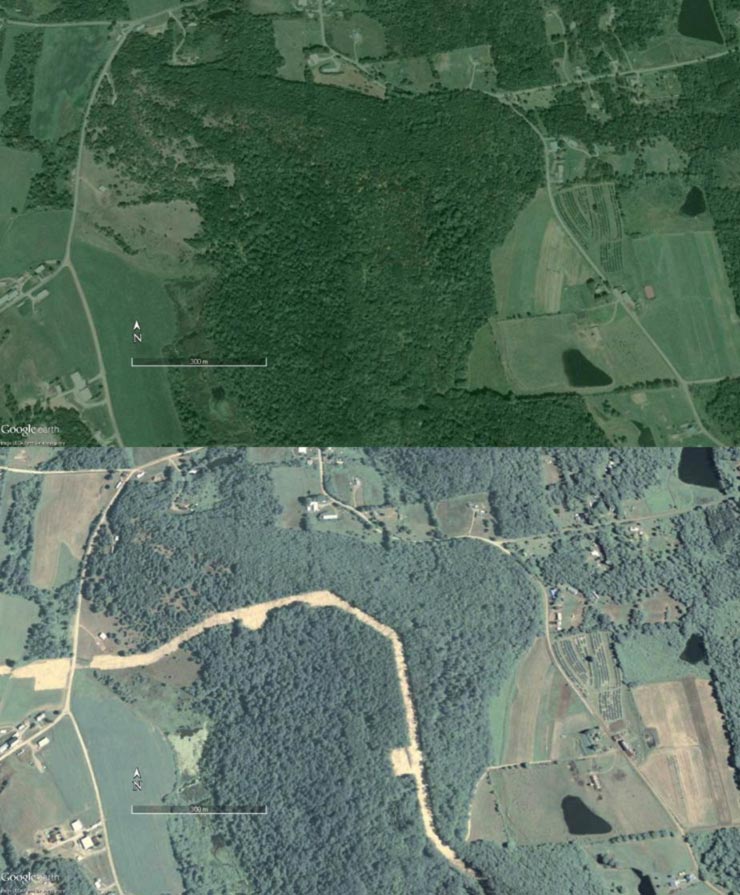
Interior forest adjacent to BBS route 72901 in Bradford County, Pennsylvania, in 2008 (top) and 2010 (bottom). The 2010 photo shows a Marcellus natural gas line and several well pads being constructed. (Imagery from the U.S.D.A. National Agriculture Imagery Program processed in Google Earth Pro.)
Natural gas extraction from shale formations in Appalachia, already a contentious political issue, also raises concerns about habitat loss and the fragmentation and degradation of forest and grassland wildlife habitats.
The rapid expansion of natural gas extraction from the Marcellus Shale play in West Virginia and Pennsylvania is projected to result in the deforestation of approximately 420,000 hectares (more than a million acres), yet grasslands will also be modified. The abundance and occupancy probability of many grassland and interior forest bird species increases with habitat area, and increased exposure to habitat edges can negatively affect grassland and interior forest bird populations by reducing mating and breeding success and increasing predation and parasitism risk.
As a post-doctoral researcher with the Pennsylvania Cooperative Fish & Wildlife Research Unit, VCE biologist Jason Hill and colleagues used a long-term, citizen-science monitoring program (the North American Breeding Bird Survey [BBS]) to assess the effects of habitat loss on forest interior and grassland bird species in West Virginia and Pennsylvania (e.g., Veery and Eastern Meadowlark).
“We first detected Marcellus development alongside a BBS route in 2006,” said Hill, “but by 2011 almost one-third of the routes had nearby Marcellus development activity.”
Marcellus-related habitat loss in interior forests and grasslands increased exponentially from 2006 to 2011. All 19 bird species in the study were negatively affected by Marcellus-related habitat changes, and the grassland and interior forest bird guilds significantly declined over the study period.
Jason will be giving a VCE Suds and Science talk about his research on Tuesday, January 12, at 7PM at the Norwich Inn.